CUVO

オリジナルEYEデザイン

目の下のたるみ

概要 特徴 症例写真 施術の流れ アフターケア Q&A

概要

目の下のたるみは、加齢に伴う眼周囲支持組織の弛緩によって発生することが示されています。したがって、「目の下」の「たるみ」が存在すると、典型的な老化兆候として他人から認識されるので、その本人にとって大きな劣等感となります。 従来までこの問題を解決するには、下眼瞼睫毛部直下の皮膚切開法が一般的でした。しかし切開法では傷跡(瘢痕)が残存することや、皮膚を過剰除去すると下眼瞼外反(いわゆる”あかんべーの状態”)などの後遺症を伴う危険性(リスク)がつきまといました。それが下眼瞼皮膚切開手術を、美容外科手術の中で最も困難な手術の一つと言わしめる理由でした。 従来までの目の下のたるみ治療は上記のような危険性(リスク)が伴うため、多くの人々がこの問題に悩んでいるにもかからず、治療を躊躇していました。その姿を見た銀座CUVO・久保院長は皮膚切開を用いないでこの問題を解決する方法を模索し始めました。 久保院長は2000年初頭、米国で皮膚切開を用いずに目の裏(結膜)側からレーザーを用いて行う優れた方法を習得しました。当時目の裏側から行う目の下のたるみ治療は、若年層のみの適応とされておりました。しかし、久保院長は米国で習得した方法をベースに創意工夫を重ね、目の下のたるみの主原因である逸脱脂肪除去のみならず、皮膚切開せずに下眼瞼皮膚自体を挙上(リフトアップ)する画期的な方法を開発しました。その結果、現在は若年層のみならず、60~70歳代といった比較的高齢層の目の下のたるみも皮膚切開をすることなく解決出来るようになりました。

料金

目の周りのたるみ施術(上) 385,000円

目の周りのたるみ施術(下) 385,000円(基本料金)

施術時間の目安

施術30分

(ノーダウンタイムの施術です)

組み合わせることで効果が期待できる施術

ヒアルロン酸注入 ボトックス注入
もっと見る

概要

眼瞼周囲は目の繊細な動きに対応出来るよう、大変繊細な構造を有しています。したがって、眼球支持組織も同様に繊細で、加齢に伴う支持組織の弛緩により下眼瞼脂肪組織が前方突出します。我々東洋人には下眼瞼脂肪組織が多く、そういった方々は、加齢とともに目の下のたるみを顕著に認めるようになります。


上記の如く、非常に繊細な下眼瞼構造を治療するには、多くの経験に基づいた専門的な技術が必要となります。開業以来、現在(2011年10月)まで6000例以上の症例数を、久保院長一人でカウンセリング、施術、フォローアップの全てを行なってまいりました。この豊富な治療経験の結果、久保院長は美容外科領域で最も困難な治療の一つと言われる下眼瞼手術を、安全で確実に行えることがこのクリニックの最大の特徴と言えます。


開業当初(2005年頃)、当クリニックで治療を受けた典型的な目の下のたるみケースをここで述べましょう。 ある患者さんが目の下のたるみ治療について他院のカウンセリングを受けました。



患者:「目の下のクマ(くま)、たるみを皮膚切開せずに目の裏から治療する方法に興味があるのですが、どう思われますか?」」
他院の医師:「その方法では、症状がまた数年で元に戻りますし、皮膚にしわや、くぼみが発生する可能性がありますから、やめた方が良いでしょう。目の下のたるみ治療には下眼瞼皮膚を切開する方法が良いです。この治療を行いましょう。」

患者:「そうですか。皮膚切開まではちょっと。。また考えて検討してみます。」
その後、この患者さんは、目の裏から行う目の下のたるみ治療の真相を知りたく、銀座CUVOクリニックを受診しました。

患者:「他院で目の裏側からの治療では、私の症状は良くならないと言われたのですが。」
久保医師:「この方法で良くなる可能性が高いでしょう。」

患者:「この治療を受けても、数年で元に戻り、しわ、くぼみが出来る可能性があると言われたのですが。」
久保医師:「その医師に経験した症例数を尋ねましたか?」

患者:「いいえ。」
久保医師:「では、症例写真をいくつか見せてもらいましたか?」

患者:「その医師は『見せることのできる写真はない』と言いました。」
久保医師:「はい、わかりました。ではこれから、このケースについて詳しく説明をしましょう。」


私の印象では、この他院の医師は、目の下の裏側から行う目の下のたるみ治療経験に乏しいと推測します。
この医師は目の下のたるみ治療に関して、目の下の皮膚を切開する方法のみを行なっているのでしょう。


私の場合、100例の治療を行うたびに、1、2名のモデル患者を獲得しています。ですから、患者さんから症例写真の提示を要求された場合、その患者さんの似たタイプの症例写真をお見せできます。多くのモデル患者を有してないことは、症例経験に乏しいことを表します。「目の裏からの治療では症状が改善しないとか、しわ、くぼみが出来る」というこの他院医師のコメントは、乏しい経験の中から推測でなされており、必ずしも正しいとは限りません。


では実際に、目の裏から脂肪を除去しても元に戻ったり、しわ、くぼみが出来るのでしょうか。もちろん、未熟な医師が行なうと、そのような不具合が発生する可能性があります。しかし、経験豊富な医師がこの治療を行うと、そういった不具合の起こる可能性が極めて低くなります。


最後に目の裏側からの治療では元に戻るか?この質問にお答えいたします。下眼瞼脂肪の前方突出部(全体の6割程度)を摘出し、その切除部位をレーザー処理しますと、再発は起こりません。過去7年間の過去症例を分析すると、適切な治療が行われた症例では、何年経過しても症状の再発がないことが実証されています。

目の下のたるみ治療を行うと、しわやくぼみは出来るのでしょうか?

右の図(正面図)をご覧ください。
下眼瞼脂肪は3個の房状の固まりから構成されています。
この治療に経験不足な医師が行なうと発生する可能性のあるしわやくぼみは、(1)、(2)、(3)から均一に脂肪除去をしない場合です。実際にこの治療を行うと、(2)が一番取り出しやすいため、経験に乏しいと(2)のみを取り出してしまいます。

右の図(断面図)をご覧ください。
このような場合、当然真中がくぼみ傾向となります。皮膚が波打つためしわも目立ちやすくなります。(1)、(3)が残存しているので、症状が完全には解消されていません。先程例に挙げた患者さんが、他院医師に言われたのは、まさにこのような状態を言っているのです。銀座CUVOではこのような取り残し症例の再治療することも少なくありません。
では、どのように治療すれば良いのでしょうか?

右の図をご覧ください。
【良い治療】
(1)、(2)、(3)それぞれから、必要量(5~6割)を均一に取り出す経験・技術があれば、元に戻ったり、しわ、くぼみが出来ることはありません。(1)の脂肪を適切に除去すると、魅力的ないわゆる”涙袋”を作ることが可能です。(3)の外側脂肪から最初に除去し、内側への加重を減らすことを最優先に行うと、(3)の脂肪は最小限のみの除去で良いので、しわやくぼみのない良好な結果が得られます。

ケーススタディ

渋谷区在住 Y.Kさん

他のクリニックに相談に行ったら手術(メス)しかないと言われていましたが、インターネットを見てCUVOを知ることが出来て大変ラッキーでした。 メスを使わないので翌日から仕事にも行くことができたのもよかったです。

板橋区在住 T. Kさん

他のクリニックでは目の下の皮膚を切開してたるみを取ると言われました。糸を取るまで一週間かかり、その間人に合うとわかってしまうし、目の下の傷跡は数カ月の間、赤く残ることもあるとのことでした。さらに、稀ではあるものの皮膚が反転してあかんべーのようになることもあると言われ、施術を断念しました。 CUVOで行っている施術はメスを使わず、目の裏から脂肪を取っていただいたので、手術直後から普通の生活にすぐ戻れました。長年悩んでいた目の下のくまが取れ、本当に良かったです。

文京区在住 R. Nさん

目の下のたるみが気になってしょうがありませんでした。友達にも指摘されるようになり、その悩みはさらに深刻なものとなりました。手術を受けるのも怖いし、あらゆる化粧品、レーザー施術を試したんですが、あまり効果がありませんでした。  友人の紹介で銀座CUVOに行き、院長先生にカウンセリングを受けました。症例写真や施術方法を見せていただき、これであれば安心して施術を受けられると納得しました。 実際施術を受け、その直後から長年の悩みだった目の下のたるみがすっきりして、とても感謝しています。しばらくたってから友達に会ってみると目がとても可愛らしくなったとほめられました。先日姉を紹介して、同じ施術を受けましたが、姉妹そろって目の下の悩みとお別れしました。

特徴

人がコミュニケーションをはかる場合、アイコンタクトが重要であるため、その人の第一印象が、目の周りの見え方で大きく決まる場合が少なくありません。特に、目の下のたるみやクマは、老いを強く感じさせるマイナスイメージを与え、出来れば改善したいと考えている人が多くいます。
最新の目の下のたるみ・くま施術最近は技術の進歩とともに、目の裏側の結膜面から高周波レーザーメスを用いて手術を行うことで、全く出血することも顔の表面から見える傷口を作ることもなく施術することが可能となりました。
銀座CUVOではアイデザインという目の周りのアンチエイジング施術の代表としてこの安全で、誰にも気づかれずに行うことの出来る 目の下のたるみ・くま取りの手術を積極的に取り入れています。

目の下のたるみの原因

目は視覚という人間にとって最も重要な感覚器の一つであるので、外傷や感染などの侵襲から守られる必要があります。その保護組織の一つとして眼周囲は眼窩脂肪と呼ばれる脂肪組織で覆われています。この脂肪組織は目を外的障害から守る役割を有すると言われます。目の下のたるみはこの眼窩脂肪の加齢に伴って生じる下垂が原因とされています。

北方アジア大陸方面の遺伝子を引き継いだ人々は、寒冷から目を保護する脂肪組織が多いと言われています。したがって、眼窩脂肪の量が多く、目の下のたるみが発症した方の両親や兄弟にも、目の下のたるみが発症する場合が少なくありません。

銀座CUVOクリニックの治療の特徴

外科医療の風潮我々は何らかの外科治療を受けるにあたって、出来れば皮膚切開は回避すべきことを本能的に悟っています。外科手術は、皮膚切開法を用いて皮膚内側の臓器に到達します。脳外科手術などは、開頭手術と言って頭蓋骨を開けて脳に到達します。それは多くの外科症例の場合、救命措置、疼痛緩和など、緊急性を要して臨むからです。その場合、手術は救命を優先とするので、時として大胆な皮膚切開もやむを得ませんでした。患者さんの側とすると、命を助けてもらったのだから傷跡が残ってもやむを得ないと理解していたのです。

つい最近まで美容外科領域においても皮膚切開を伴う手術が一般的でした。下眼瞼(目の下のたるみ)手術を例に挙げると、この手術は下眼瞼睫毛直下を平行切開して行います。しかし安易に下眼瞼睫毛直下の皮膚切開を行うと、傷跡が残存したり、下眼瞼皮膚が外反(いわゆる”あかんべー”のような状態)などの後遺症を伴いかねません。これが下眼瞼皮膚切開法を用いた下眼瞼(目の下のたるみ)治療が最も難しい美容治療の一つと言われる所以でした。

美容医療の現場にて 私は開業前に勤務していた美容外科病院で、多くの眼瞼周囲手術を希望するお客様たちと遭遇しました。多くのお客様たちが、自他ともに老化を強く感じさせる眼瞼周囲のしわやくま、たるみに悩まされている現実を知りました。にもかかわらず、当時美容外科手術の主流であった皮膚切開法を提案すると、多くの方々が手術を躊躇する姿を同時に垣間見てきました。それは上記に述べたように、我々は緊急性を要しない場合、本能的に傷跡を残す治療を避けようとする生き物だからです。

時代の流れとともに医療技術はめざましく進歩し、その一環として手術手技も最小侵襲技術が一般的になりました。最小侵襲手術とは可能な限り皮膚切開量を減らし、傷跡が残存することなく、早期社会復帰(ノーダウンタイム)が可能にする最新技術を言います。我々多忙な現代人は、少しでも早く病気や外傷から回復し、しかも傷跡等の後遺症が残らない、質の高い医療を望むようになりました。

一般医療でさえこういった風潮にある中、ましてや美容医療は、最大限の低侵襲技術で臨むべきであるのは火を見るよりも明らかです。何故なら、美容外科はElective Surgery(緊急性を伴わない、本人の希望による手術)そのものの医療行為だからです。

そこで私は皮膚切開法を用いない眼瞼周囲手術に興味を抱き、米国での美容外科手術研修で、その手がかりを見つけたのです。この画期的な手がかりを基礎に、2005年の開業以来、多くの症例(約6,500例)を経験し、現在は下眼瞼治療を主体とした皮膚切開を用いない眼瞼周囲手術の確固たる技術を得ました。この治療を用いると、これまで皮膚切開を用いなければ改善されなかった中高年以降のたるみの強い方々も治療対象となり、良好な成績が得られるようになりました。

もっと見る

イラストで見るメスを使わない目の下のたるみ施術

図-1は目の下のたるみのイラストです。
解剖学的に下眼瞼直下にはこのイラストの如く、眼輪筋(いわゆる目袋)が存在します。その下に示した過剰脂肪が原因で目の下が膨らみ、たるんだ状態が目の下のたるみです。このイラストでは目の下のたるみによるしわも示していますが、こういう状態を放置すると、目の下のたるみのみではなく、しわも深くなり、老化を強く感じさせる状態に陥ります。

図‐2は治療最中のイラストです。
高周波レーザーを用いて、下眼瞼粘膜面からレーザーにて進入してゆきます。患者さんの中には眼球周囲でのレーザー治療に不安を感じる方もいらっしゃいます。しかし、この治療では眼球の安全を100%確保する方法を確立しており、これまで(2011年11月現在)、この治療を受けたお客様は6500名を越えましたが、全ての症例で安全に治療を終えております。

図-3は目の下の粘膜から過剰脂肪が出てきた所です。
目の下のたるみの主原因は、この下眼瞼余剰脂肪が皮膚を前下方に膨らませ、まるで下眼瞼皮膚がたるんでいるように見えることです。したがって、その治療では、下眼瞼余剰脂肪の約5~6割を除去し、下眼瞼を平坦化します。また下眼瞼脂肪は内側、中央、外側とおおよそ3個の房状(コンパートメント)構造となっているので、その各部位から均一に適量脂肪を除去することが肝心です。一部位から過剰な脂肪除去を行ったりすると、窪みはしわの発生を誘発する可能性がありますから、そういった無配慮な治療は禁物です。当クリニックでは、この治療を専門に行う久保院長が、入念な配慮の元に正確な治療を行うので、そのような弊害をもたらすことなく、良好な治療結果が得られますので、ご安心ください。

図-4は下眼瞼粘膜を反転させ、この粘膜面からのレーザー進入経路のイラストです。
この進入経路では、下眼瞼脂肪の前方から進入することが大変重要です。その理由は、この進入経路によって、余剰脂肪の前方突出部位からの除去が可能となるからです。前方から余剰脂肪を除去すると、除去量の正確な調節が出来ます。しかし我が国では、下眼瞼脂肪除去術(いわゆる“脱脂”)において、余剰脂肪を後方進入にて除去する医師が少なくありません。この進入経路が一般的になったのは、このアプローチの方が、手技的に容易であることに他なりません。ですが、このアプローチでは突出した前方ではなく、後方部位からの脂肪除去となるので、目の下のたるみに関して直接的原因となっている、前方部位の余剰脂肪の突出具合を正確に調節することが困難となります。したがって後方アプローチは、当クリニックで行う前方アプローチに比べると、結果が不正確になりかねません。このことから目の下のたるみ治療では、前方アプローチが極めて重要であることがわかります。

図-5の如く、目の下のたるみの主な原因である下眼瞼余剰脂肪を適切に除去すると、上転傾向にあった眼球が正常位に修正されるので、目の開きが良くなり、目元はぱっちりとした印象に改善されます。

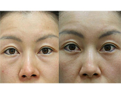
症例写真

49歳 女性
39歳 女性
39歳 女性
28歳 女性
47歳 男性
48歳 女性
61歳 男性
43歳 男性
41歳 女性
もっと見る
女性 56歳
49歳 女性
38歳 女性
32歳 女性
40歳 女性
40歳 女性
29歳 女性
58歳 女性
33歳 女性
54歳 女性
44歳 女性
65歳 男性
48歳 女性
44歳 女性
41歳 女性
49歳 女性
35歳 女性
33歳 女性
44歳 女性
43歳 女性
35歳 女性
52歳 男性
41歳 男性
40歳 女性
41歳 女性
39歳 女性
27歳 女性
39歳 女性
42歳 女性
34歳 女性
28歳 女性
50歳 女性
35歳 女性
31歳 女性
71歳 女性
37歳 女性
21歳 女性
44歳 女性
26歳 女性
31歳 女性
30歳 女性
45歳 女性
55歳 男性
34歳 女性
28歳 女性
43歳 女性

施術の流れ

初めて来院される患者様の場合

予診票の記入をお願いしております。記入後にカルテを作成いたします。

治療を受けられるにあたって

■注意事項

・治療前も食事はいつもどおりにされてかまいません。

・治療前は血圧等のチェックをおこなうことがあります。

・治療に支障をきたすような体の異常がないかどうか血液検査を行う場合があります。 (血液検査は肝臓や腎臓等内臓の異常、貧血の有無、ウィルス性肝炎や他の感染性疾患の有無等身体の異常を早期に発見できます。)

・外来療法に関してはいつもどおりの生活をされてかまいません。

■麻酔について

局所麻酔と安定剤の併用をします。

■目の下のクマ・たるみの治療について患者様より質問(典型的な質問)

Q1. 時間はどのくらいですか?

A1. 30分くらいです。


Q2. 痛みはありますか?

A2. 気になる痛みはございません。


Q3. 再発はしますか?

A3. 一度脂肪を取り除いたら、再発はしません。


Q4. 色素沈着は改善されますか?

A4. 脂肪を取ることで目立たなくなります。完全に色を消すことはできないのでスキンケア(漂白剤・ビタミンCローションやハイドロキシノン、レーザー治療)を行ないます。

洗顔、貴金属、コンタクトの除去(10分)

・目の治療ですが清潔な状態で行うため最初に洗顔をお願いしております。

・レーザーを使用しますので金属類に影響を及ぼさないためにも念のため事前に貴金属を取り外していただいております。

・コンタクトを使用されている方ははずしていただき、できれば眼鏡を持参していただくようにお願いしております。

患者さまと看護師による予診(10分)

・患者さまの記入していただいた予診票をもとに看護婦が親切、丁寧にお話をお聞きしておおまかにお答えいたします。

・お聞きした内容は医師にお伝えしていきますので何でも御相談ください。

・血圧、脈拍を計測します。

写真撮影(5分)

・写真は治療前後の状態と経過を見させていただくために撮影します。

・必要時、ヘアバンドをしてからイスに腰掛けていただき写真撮影(正面1枚と目を中心に1枚)を行わせていただきカルテに保存させていただいております。

患者さまと医師によるカウセリング・デザイン(30分)

・患者さまと医師との治療前にお話をしていただく時間です。

・時間を気にすることなく個別に行っておりますので安心してカウンセリグを受けていただき治療に臨んでいただくよう配慮いたしております。

・最終カウンセリングを行った後、治療後の注意点について説明を受けます。

・患者さまは久保医師が記載した治療申し込み書に目を通し、説明に納得を受けた後に申込書にサインをします。

・治療のためのデザインを行います。 (デザインは目の下にどの程度の脂肪量であるのかを確認するため行いますが治療後はきれいに拭き取ります。)

・看護婦が治療室にご案内いたします。

看護師による治療までの準備

・治療室では治療ベットの上で仰臥位となり、バイタルサインのチェックを行うため心電図と肘の部分に血圧計と指に脈拍のモニターを念のため装着致します。

・レーザーを使用するため腹部にシールをつけさせていただきます。

・ベットの横には万が一に備え、酸素、人工呼吸器などの装置が常備されていますが、これらの機器の作動を治療前に点検いたしております。

・一生に一度の治療ですから、人によっては大変緊張される方がいらっしゃいます。緊張感を和らげるため、静脈から抗不安薬のセルシンを使用いたします。

・患者さまが落ち着いたところで、点眼表面麻酔薬を数滴目の中に入れ、目の粘膜に表面麻酔していきます。

医師による治療までの準備(5分)

・この時点から目は閉じていただきます。

・医師による局所麻酔を行います。

・両方の目に約1cc程度づつの局所麻酔薬を30ゲージと呼ばれる非常に細い針で下瞼を裏返しながら、少しずつ浸潤させてゆきます。

・右目から行いますが最初にチクッとした痛みを感じる程度の多少の感覚はありますが、麻酔液が入っていけば徐々に痛みは感じにくくなり麻酔液がジワジワッと入っていく感じがする程度ではっきりと痛みを感じるほどではありません。          ↓

・局所麻酔が終了した時点で治療開始となります。

治療開始(30分)

・初めに滅菌された布を顔にかぶせて行いますので感染の心配はありません。

・久保医師が目の粘膜面から片側15分程度、合計30分の治療で目の下が平らになるまで、適切な量(全体量の70%程度)の脂肪を左右対症になるように、慎重に治療致します。

・下眼の表面の麻酔は効いていますので痛みは感じにくいと思いますが若干レーザーを使用するため熱い感じがする時とジュッというレーザーで脂肪を焼く時の焦げ臭いような臭いがすることもありますが問題ありません。

・仕上がりは久保医師が下瞼を正常な状態に戻して確認しながら、必要であれば除去量を 追加などを加えながら最終的に均一な状態にまで調整致します。

治療終了(2~3分)

・滅菌された布をはずし少しずつ目を開けていただき治療後の状態を鏡で確認して除去した脂肪を見て頂いております。

・この時にやや目がぼやけた感じと開けにくい感じがすることがございますが麻酔のためですので1時間程度で落ち着いていきます。

・出血もほとんどなくやや腫れがある程度ですが大きく目立つということはありません。

看護婦による治療終了後の処置 (5~10分)

・血圧計、心電図、脈拍のモニター、レーザーで使用しました腹部のシールをはずさせていただきます。

・この間は目は閉じていただいております。

・最初にデザインした部分をきれいに拭き取ります。

・化膿止めと炎症止めの入った点眼薬を行います。

・頭の下に枕をいれて目の上にアイスバックを置いてしばらく目を休めていただきます。

・先ほど使用した注射の影響でしばらく“ぼーっと”した状態が続くため、休憩室で休んでいただきます。引き続き約30分間の休息期間中は目の下をアイスパックで冷やします。

久保医師による最終確認

・休息が終える頃、久保医師が最終確認を行い、今回の治療で行った内容を説明致します。

・大半の方は左右差があるため、摘出量にも差があることが多いので、その具合を摘出した脂肪量で直接確認していただきます。

・脂肪除去直後は意外に腫れが少ないことが多いので、目の下のたるみの改善をその場で確認できることが少なくありません。

・治療直後には、目が赤くなったり、目の下の皮膚の色が白っぽくなります。また、目の筋肉にも多少麻酔がかかっているため、焦点がずれることもありますが、これらの治療直後 変化は治療後1~2時間で元通りになりますので、ご安心ください。

・看護師から目薬、内服薬等の治療後の注意事項の説明をお聞きしていただきます。

・メイクを軽く行っていただき会計を済まされご帰宅となります。

・可能であれば1ヶ月後に経過を見せて頂くため再診の予定を入れていただくようにお願いいたしております。

アフターケア

目の下のたるみ治療を受けられた方へ

お薬について

・化膿止め、炎症止め、痛み止めのお薬が処方されますので、使用法に従って内服してください。
・目薬、軟膏などは朝と夜、洗顔後に使用し、1週間程度続けてください。 ※目薬はよく振ってから点眼してください。 ※軟膏は清潔な綿棒などを使って塗ってください。

治療後の注意点

・治療当日は、シャワーは首から下のみにしてください。
・手術部位は強く押したり、こすったりしないようにしてください。
・治療後1・2日、アイスノンなどで冷やすことをお勧めいたします。
・当日、入浴、サウナ、運動、飲酒はお控えください。
・腫れは個人差がありますが、2日~1週間程度でほぼ落ち着きます。自然な感じになじむまでは1ヶ月程様子をみてください。
・治療後まれに内出血により、下眼瞼に赤・紫色の軽度の着色を伴うことがありますが、治療10日程度で解消されますのでご安心ください。
・万が一内出血を認めた際は、コンシーラー等をご利用頂き、カバーされることをお勧め致します。

治療後の診察

・医師の指定した日には治療部位の診察を受けてください。
・経過観察で1ヶ月後にお越しいただきます。

※痛みや出血が治まらなかったり、何か気になることがありましたら、お気軽にご連絡ください。

想定される治療後のケア

1)多少、目やにが(黄・茶)出ることがあります  →  2~3日
2)下瞼直下(涙袋)のむくみ           →  2~3日
3)目元を押した際の痛み(圧迫痛)        →  2~3日
4)赤・黄色の着色                →  10日程度程で収束。(その間、ファンデーションで隠す)

※必ずしも起こるわけではありません

目の下のたるみ Q&A

1 目の下のクマ・たるみとはどのような状態のことを表しますか?

目の下のクマ(くま)とたるみは同じ意味として認識されている場合もありますが、目の下のクマ(くま)は下眼瞼の解剖学的構造の不具合により、下眼瞼皮膚に陰影が出来たり、皮膚色素が濃く見える場合を表します。
目の下のたるみとは下眼窩脂肪が前方に膨隆し、下眼瞼がたるんだように見える状態を表します。
目の下のクマ(くま)とたるみを厳密に区別することは困難で、両要素が混在している場合がほとんどです。その際、下眼瞼皮膚の色素が目立つ場合を目の下のクマ(くま)、同部位のたるみが目立つ場合を目の下のたるみと認識されます。

2 目の下のクマ(くま)やたるみの原因は何ですか?

遺伝的要素が主な原因と考えられます。眼周囲(上下)には遺伝的に脂肪量が多い人がいます。我々の祖先がモンゴル大陸で暮らしていた頃、寒さの防御機能として脂肪は重要な役割を果たしていました。特に眼球は大変繊細な器官なので、寒さから守られる必要があったと思われます。そのため、かつてこのような地域に住んでいた祖先の遺伝子を引き継いだ人々の眼周囲には脂肪が多いと思われます。モンゴルなどの内陸に住んでいる人々は今でも眼周囲脂肪組織が多いのですが、彼らは皮膚も厚いため、目の下のクマ(くま)やたるみはあまり目立ちません。
では、何故東洋人の中でも日本人に多くみられるのでしょうか?それは日本人が混血人種だからです。南方からの遺伝子を持っている人たちは寒さから目を守る必要がなかったため、目の周りの脂肪組織は少なく皮膚も薄めです。南方系の遺伝子を持った方たちはたるみはさほど目立つことはありません。しかし、日本人は混血のため、皮膚が薄く目の周りの脂肪が多い人も少なくありません。このような遺伝子の組み合わせを持つと目の下のクマ(くま)・たるみが目立ってしまうのです。大半の日本人はこのような遺伝子の組み合わせを持っているため、多くの人たちに目の下のクマ(くま)・たるみが生じているのです。

3 加齢とともに目の下のクマ(くま)・たるみが目立つのは何故ですか?

遺伝的素因が原因で目の下にクマ(くま)・たるみが形成されることは質問2で述べました。若年層時代は皮膚組織は弾力性に富み、皮下支持組織(靱帯等)は強靱なので、目の下のクマ(くま)の主原因と考えられる下眼瞼構造の不具合や、目の下のたるみの原因である下眼窩脂肪の前方突出がそれほど顕著ではありません。 しかし加齢にともなう皮膚の弾力性の低下や皮下支持組織(靱帯等)の緩みが出現するため、歳を重ねるほど症状が目立はじめます。

4 目の下のクマや目の下のたるみの主な原因となっている 脂肪を除去してもまた元に戻ってしまうことはありますか?

いいえ、ありません。理由は右に示したイラストをみて頂くと分かりやすいでしょう。脂肪は脂肪細胞が蓄えることが出来ますが、その脂肪細胞を自体を取り除くと脂肪を蓄える細胞が減少するので、目の下のクマや目の下のたるみが原因となっている脂肪が再び蓄積することはありません。ですから、この治療は原則的に一生に一度きりのものであると言えます。例えば脂肪細胞数が4個だとします。細胞の数は変わりませんが、年を重ねると細胞1個1個が浮腫状となり、その容量が増加する為、 目の下のクマ(くま)や、目の下のたるみが目立ち始める一要因となります。治療を行うと、ゼロに何をかけてもゼロのままで、大きくなることはないのです。

5 目の下のクマ(くま)や目の下のたるみ治療で行う下眼窩脂肪を軽減する“脱脂”操作によって、目の下に凹みやしわは発生しませんか?

右図の風船を例に取ってみるとわかりやすいでしょう。風船はある程度空気が抜けても表面にはしわは出来ません。風船はゴムで出来ています。ゴムは弾性力に富んだ物質です。実は人体皮膚にもゴムのような弾性繊維があり、皮膚を収縮させます。
したがって適切かつ均一に(バランスよく)脱脂操作を最小限に行う限り、凹みやしわが発生することはありません。

6 麻酔はどこにどのようにするのですか?痛みはどの程度ですか?

麻酔は目の裏の粘膜に32ゲージという現在使用できるものの中で、一番細い針を用いてイラストのように行います。ですから、ほとんど痛みは感じないと言ってよいでしょう。
一般的には痛みよりむしろ治療を受ける不安感の方が強い方のほうが多いと言えます。そのような場合は安定剤を併用すると、不安感を持つことなく治療を受けることが可能です。

7 目の下のクマ(くま)、たるみ治療を行うと目の印象が良くなるというのは本当ですか?

右のイラストをご覧ください。下眼窩脂肪は、眼球下に例えてみると”クッション”が入っているような状態です。 このクッション(下眼窩脂肪)が前方突出することが目の下のたるみの主な原因の一つです。

クッション(下眼窩脂肪)が加齢に伴う下眼瞼支持組織の弛緩により前方突出すると、右の図の如く眼球がやや上転し、上眼瞼は窪み傾向となります。

眼球が上転すると、相対的に上瞼が覆い被さり、いわゆる“眼瞼下垂”傾向を示します。その結果、“老化を感じさせる目元”となります。

下眼窩脂肪前方突出部位を適切に除去し、下眼瞼支持組織の調節を行うことで、眼球の上転傾向は改善されます。この操作により、“眼瞼下垂”傾向は修正され、若々しく魅力的な目元に戻るのです。

8 目の下のクマとたるみを、脂肪分解・溶解注射いわゆるメソセラピー と呼ばれる方法で解決することはできますか?

残念ながら、現在までのところこれらの注射を利用しても目の下のクマやたるみの原因となっている脂肪を溶かすことはできません。右のイラストを御覧ください。

脂肪は魚の卵巣(いわゆる、すけそのこや明太子)のように線維状の膜でしっかりと覆われています。従って脂肪分解注射をして脂肪を溶かそうとしても、このしっかりとした被膜の外に溶け出すことができません。さらに、目の下のクマやたるみに対するメソセラピーの最大の欠点は治療後の腫れです。
ホファチジルコリン、レシチンなどの薬剤を注入すると炎症反応が激しく、目の下が大きく腫れてしまい、その状態が一週間ほど続きます。従って、キューヴォで行なう粘膜面からの脱脂治療の方が、術直後から腫れがないので目の下のクマやたるみの治療としてふさわしいと言えます。

9 どのような治療法が有効ですか?

目の下のクマ(くま)の原因の一つである色素沈着のうち、程度の軽いものにはビタミンCローションのような漂白作用のある薬剤や、ケミカルピーリング等が有効と思われます。 目の下のたるみの場合は、たるみの周辺にヒアルロン酸などのいわゆるフィラーを用いて埋め合わせるのが効果的です。
しかし、ヒアルロン酸は時間が経過するとともに吸収されてしまうことを考慮に入れなければなりません。また、目の周りにフィラーを注入することはボリュームを増すことになりますので、あまり過剰に行うと目を埋もれさせてしまい、かえって目の印象を損なうこともありますので、注意する必要があります。

10 目の下のたるみに対する根本的治療はどのようなものですか?

目の下のたるみの根本的治療とは、高周波(RF)レーザー・メスを用いて下眼瞼結膜を反転させアプローチ(進入)する経結膜的下眼瞼形成術です。その詳細はホームページ目の下のたるみ治療方法をご参照ください。

その方法をここで簡単に説明すると、高周波レーザーメス剥離を下眼瞼皮下組織に行います。剥離が下眼窩脂肪層に達すると、そこから過剰脂肪(下眼窩脂肪前方突出部位)が溢流し始めます。

目の下のたるみの主な原因であるこの下眼窩脂肪前方突出部位を、丁寧に少しずつ必要最小限に切除・除去します。

下眼瞼の内側・中央部・外側部の下眼瞼皮下組織に同様の操作を加え、同部位をバランス良く平坦化します。

さらに皮下組織の剥離(自由化)を確実に行い、眼輪筋部(いわゆる涙袋)と皮下脂肪層やそれを包む皮膜と区別化します。

その結果、下眼窩脂肪が軽減した分の皮膚挙上(リフトアップ)が得られます。

次に入念に止血操作を行い、確実に止血されたことを確認します。

粘膜は再生力が大変強く、縫合を行っても行わなくてもその創部閉鎖は同様であることが証明されているので、縫合は行わずに治療を終了します。

11 目の下のたるみ治療後の経過(腫れ)などはどうですか?

当ホームページの症例写真をご覧の通り、手術直後からほとんど腫れることはなく、翌日から普通の生活に戻ることが可能です。粘膜面に最小限の進入を加えるだけなので、通常の手術に必要な縫合、抜糸なども必要ありません。
従って、治療翌日などに受診される必要も特になく、経過観察は治療一ヶ月後に確認させて頂ければ結構です。

12 治療にともない、眼球を傷つけるなどの危険性はありませんか?

ありません。治療部位は眼球から10㎜以上離れた位置にあるので、この治療によって眼球を痛めたりすることはありません。
実は2011年3月11日の東日本大震災が襲った午後3時頃、目の下のたるみ治療の真っ最中でした。手術室がぐらっと揺れた時でも、常に安全を最優先にした体制をとっているので、問題は起きませんでした。揺れている間は治療を見合わせましたが、揺れが収束した午後4時より治療を再開し、無事終了しました。このように、たとえ大震災に見舞われても何事もなく治療を行える極めて安全な治療なのです。

13 目の下のたるみ治療による健康上のリスクはありませんか?

いいえ、ありません。この治療は下眼瞼を膨隆させて、いかにも目の下がたるんだように見せる下眼窩脂肪の一部である前方突出部位を適切に除去する操作が主体となります。
この治療の本体は美容外科の歴史の中でヨーロッパ・米国を中心に既に50年以上の歴史があります。適切な治療を行う限り、その長い歴史の中でこの治療による健康上のリスクが報告されたことはありません。

15 ”目の下の脂肪を除去すると、目の上の脂肪が下に降りてくる”という話を聞いたことがあるのですが本当でしょうか?

図-1 のように目の周りの脂肪は、目の上の内側から真中にかけてと、目の下の内側から外側にかけて存在します。しかし、これらの脂肪は房状となって個別に存在します。これらの独立した脂肪は袋状の膜に包まれており、その袋は靭帯と呼ばれる支持組織によって、目の周りの骨にくっついています。従って、目の下の脂肪を除去したからといって上の脂肪が下に降りてくることはありません。
”目の上の脂肪が下に降りる”という見解は図-2 の如く、目の周りの上下の脂肪が連続しているという誤解によるものです。では、何故加齢と共にあたかも目の上の脂肪が下に降りてきたようにみえるのでしょうか?それは、目の周りに存在する、先ほど述べた靭帯などの支持組織が緩むため眼球の重みで目の下の脂肪が前に出てくることと、目の上のスペースが広がるため、目の上に存在する脂肪が奥に収まるからです。
目の上の脂肪は少なくなり、目の下の脂肪が増えるのは”脂肪が降りてくる”のではなく、あくまで靭帯の緩みによる上下の脂肪の独立した変化なのです。ですから、目の下の脂肪を除去しても、上から脂肪が降りてきて、また増えるような事は起こりません。

16 目の下のたるみ治療の際、下眼窩脂肪を軽減しても、また症状が再発することはないのでしょうか?

ありません。右図をご覧ください。
図-1 に示すように、下眼窩脂肪前方突出部分は少しずつ除去することが肝心です。 そうすることで、必要量を適切に除去できます。しかし、図-2 のように脂肪の中央部から除去すると、前後に脂肪を残すこととなり、正確に除去することはできません。
もし前後に脂肪が残存すると、たるみが残ったりと、出来上がりが不十分になりまねません。また前方に脂肪を残すと、この部位が時間とともに再度たるみとなる可能性があります。
目の裏から治療を行う場合、当院の方法を用いる施設が少なくありません。それは、図-2 の方法が図-1 の方法(当院の方法)よりも簡単だからです。但し、満足のゆく最良の結果を求めるのであれば当院で行なっている図-1 の方法を用いる事が不可欠です。
この方法では、残存脂肪は、図-3 のように後方にのみ残ります。脂肪を軽減させた前方部分には、図-4 で示すように”瘢痕組織”と呼ばれる、コラーゲン線維から成る組織で置き換えられます。この組織は脂肪組織よりしっかりとした組織なので、下眼瞼はたるみがなく”ハリ”のある状態となります。また、この瘢痕組織が後方に残存した脂肪を、ふたのように働いて閉じ込めるため、再び後方の脂肪が前に出てくることはありません。

17 目の下のたるみ治療とは下眼窩脂肪を除去する”脱脂”操作 のことでしょうか?それ以外に行う操作があれば説明して下さい。

いいえ。この治療は下眼窩脂肪を除去するだけのものではありません。右図をご覧ください。下眼窩脂肪を軽減する際、目の下の皮膚を下から前に挙上させます。この操作によって、下眼窩皮膚がリフトアップします。

目の下のたるみ治療の目的は、
1、目の下のたるみの原因となっている余分な下眼窩脂肪を適切に除去するとともに、下眼窩脂肪面を平坦化させます。
2、下眼窩皮膚をリフトアップさせる。

この2つの作用によって、目の印象を格段に向上させることが可能となります。これが当院で行う”アイデザイン”治療です。

18 目の下のたるみ治療において、下眼窩脂肪除去後皮膚が余ってしわになったり、たるんだりするリスクはありませんか?

いいえ。たるみません。余裕の出来た皮膚は、目の下のきわの眼輪筋、いわゆる”涙袋”の部分に挙上されるためつじつまが合います。 目の下の過剰脂肪を除去しても、皮膚がたるむことはありません。その詳細を以下に説明致します。

皮膚がたるんだり、しわが増えたりすることはほとんどありません。この質問は、目の下のクマ(くま)、たるみ治療を受ける患者様の中で最も多い質問の一つです。目の下に存在する過剰な脂肪等を調節除去すると、余剰皮膚を産み出し、それが原因でしわが発生すると考えてしまいます。

しかしヒトの皮膚は年齢にかかわらず弾力性に優れた組織で、 例えば中高年の方がダイエットをする際、月2キロ程度の緩徐な体重の落とし方であれば、例え半年間に10キロ程度体重を落としたとしても、しわやたるみが発生することはほぼありません。

また、妊婦さんが3500グラムほどの赤ちゃんを産んだ直後でも皮膚は比較的すみやかに収縮します。下眼瞼皮膚も同様に優れた弾力性を備えているので、下眼瞼治療の際、数グラムの下眼瞼脂肪組織をバランスを考慮しながら適切に除去すると、しわやたるみが発生することはないのです。

19 目の下のたるみ治療によって目の印象が良くなるのはどうしてですか?

右患者様の治療前・後の写真をご覧ください。治療前の写真では、下眼窩突出脂肪の存在で瞳が上に押し上げられ、いわゆる”三白眼”のように見えます。 眼輪筋(”涙袋”)はこの下眼窩脂肪に覆われていて無表情に見えます。治療後下眼瞼には 眼輪筋(”涙袋”)が出来、表情豊かな目元に改善されました。

目の印象について、もう少し解説を加えましょう。下のモデルさんの目元をご覧ください。 この女性の目元の印象として、やや微笑んでいるように見えませんか? 眼輪筋(”涙袋”)があるということは、微笑を含んだ”優しさ” のある表情なのです。 ですから下眼窩脂肪を除去調節し、平坦化することで目元の印象はアップするのです。

20 目の下のたるみ治療にいわゆる”失敗”はありますか?

当院を訪れるお客様たちに、気になさる“いわゆる失敗”とは何かを具体的に述べてもらうと、次のような具体的な項目が出てきます。

1.傷跡が残らないのか?
2.いわゆる“あかんべー”のような目の変形等(外反変形)を来すことがあるのか?
3.凸凹感が残ることがあるのか?
4.腫れやあざがいつまでも残ることがあるのか?
5.目に機能的な障害を残すことがあるのか?

では、実際に上記のような事柄が本当の起きるのでしょうか?それぞれの項目に関してお答え致します。
1.傷跡が残る可能性:
熟練した医師が目の裏の粘膜から脂肪除去を行なう限り、顔の表面から見える傷が残る可能性は0%です。

2.“あかんべー”のような目の変形等(外反変形)を来す可能性:
目の裏側から皮膚切開を用いずに治療を行う限り、いわゆる“あかんべー”のような皮膚の変形を起こす可能性は0%です。 “あかんべー”のような外反変形は、皮膚表面から治療する皮膚切開法を不適切に治療した場合、希に発生する危険性があります。したがって皮膚切開法は、その明らかな適応がない場合は出来る限り行なわない方が良いのです。

3.凸凹感が残る可能性
この治療に熟練した医師が下眼窩脂肪を内側から中央、そして外側まで平均的に平になるまで除去すると、凸凹感が残る可能性は極めて低いと言えます。 しかし、両方の下眼瞼を左右平等に平坦化するには熟練を要します。
何故なら、均等に脂肪量を調節するには目の裏からの限られた視野の中で操作するからです。そのためには治療中に全く出血をさせない無血手術にて、常に治療場所を正確に把握する必要があります。
つまり未熟な医師が、上記のような肝心なポイントを考慮をせずに治療を行なうと、取り残しや凸凹感が残る可能性が生じるのです。 逆に目の下のたるみ治療に熟練した医師が、こういった配慮をしながら適切に治療を行うと、凸凹感残ることはありません。
4.腫れやあざがいつまでも残る可能性
腫れは通常の場合ですと数日でほぼ正常範囲まで戻ります。 全く同じ治療を行なっても、腫れ方はその個人の健康度によって異なります。20代前半の健康な方ですと、腫れはせいぜい2日程度と速やかに解消されることがほとんどです。
しかし、高血圧、ヘビースモーカーなどの生活習慣上の不健康を伴うと、腫れはやや長引き、一週間程継続する場合もあります。黄み、赤みなどの軽度のあざ(着色)は、この治療を受けた方の約1%に発生する可能性があります。しかし、このようなあざも1週間程度で自然に消えてゆきます。
軽度のあざ(着色)を起こした方々を分析したところ、興味深い事実がわかりました。これらの方にはやはり、出血素因を認めることが多かったのです。 それは高血圧、極度の貧血、または偏食傾向の方、また体質的に血管が微弱な方は着色は通常の方々よりも着色しやすいといえます。 治療後にまれに発生する着色はあくまでも一時的であって、いつまでも残るようなことはありません。

5.眼機能的な障害を残す可能性
この治療は下眼瞼粘膜から目の下のたるみの原因である下眼窩脂肪を除去・調節し、それと同時に下眼瞼皮膚の挙上(リフトアップ)を促すことを目的とした治療です。 その際、レーザーが侵入するのは下眼瞼裏側の粘膜面です。しかし、眼球は上瞼と下眼瞼から引き上げた粘膜面で二重に保護されています。 この二重保護によって眼球に傷をつける可能性は0%です。

21 目の下のたるみ治療料金はどのように決まるのでしょうか?

Q-1(取材者):CUVOクリニックの‘目の下のクマ(くま)、たるみ治療料金’は31万5千円(消費税込み)ですが、それはどのように決まるのでしょうか?
A (久保医師): 美容外科の治療料金は自由診療ですから、おのおののクリニックで自由に設定をします。私は過去の経験から、 ‘目の下のたるみ治療’に関してはこれくらいの料金が適正と判断しております。

Q-2(取材者):もっと安い料金設定をしている施設もあるようですが、それは何故ですか?
A (久保医師):それは市場原理と同様であり、 治療料金を下げるのは、そうしなければ集客が困難だかではないでしょうか。
私も‘目の下のたるみ治療’に関して、当院より安いクリニックが多々あることは良く知っております。 この治療は最安値12万円で行なっている施設もあります。 これは安すぎと思いますが、通常の場合、25万円~35万円の値段を設定しているようです。最近では20万円弱という施設もあるようです。
当院にいらっしゃるお客様の中に、治療結果より低料金を最優先に考える方がいたとすれば、私はそういった施設をご紹介致します。 私自身もこの治療を受けた患者の一人です。私がこの治療は、いわゆる目の下の裏側から行う”脱脂術”でしたが、その際の治療費は42万円でした。このように美容外科の治療料金は、自由診療の下施設ごとに異なるのが一般的です。

Q-3(取材者):では先生がそのような料金設定をした具体的な理由を教えていただけますか?
A(久保医師):例えばイチロー選手のようなプロスポーツ選手は、良い結果を継続して出し続けることができるほど、その価値が評価されるます。私はこれまで行なってきた2000例近く(2006年度の時点)の‘目の下のクマ(くま)、たるみ治療’から得られた経験によって、安定して良好な結果を出す実績に基づいて料金設定をしました。

さらに、私の料金設定の中には以下に掲げた7つの要素が加味されておりますので、このような料金設定となっています。

1.当院で行なう‘目の下のクマ(くま)、たるみ治療’は原則的に一生に一度のみである事を保証します。将来の人生を明るく過ごす事を考慮に入れますと、この料金設定は適切であると判断しております。
2.当院のこの治療ではほどんど無痛で治療を行います。
3.治療時間が両目で30~40分と短時間なので、腫れが最小限で済みます。
4.皮膚傷跡などのいわゆる後遺症の起こる可能性が皆無です。
5.万が一スキンケアなどのアフターケアが必要な場合、保証対象として治療を提供致します。
6. お客様とは一生お付き合いするつもりで治療を行います。私が治療に関する全ての責任をとり、患者様が満足するまで最大限の努力します。
7.この治療は単に脂肪を抜き取るいわゆる‘脱脂’と呼ばれる簡単な治療ではありません。目の下のクマ(くま)、たるみ’を除去するのみでなく、目元を美しく魅力的に改善します。この技術を私は"アイデザイン治療"と呼んでおります。

Q-4(取材者):Q-3の項目-7は大変興味深い話なので、もう少し詳しくお聞きすることは出来ないでしょうか?
A(久保医師):アイデザイン技術ですが、これは私が米国で習得した技術を基に東洋人向けに改変した方法です。 この方法はいわゆる‘脱脂’と呼ばれる単に目の下の脂肪を抜き取る方法とは異なります。 簡単に申し上げますと、私の方法ではいわゆる‘脱脂“はあくまで治療の一部分に過ぎません。
目の下のたるみを改善するとともに、下眼瞼皮膚を理想の位置に挙上(リフトアップ)することこそがこの治療の目的なのです。 例えば、当クリニックホームページ、治療前後の症例写真をご覧ください。 この治療を行なうと、目の下のクマ(くま)、たるみが解消されるばかりでなく、目元が冴えた印象を獲得出来ます。 しかもその効果は永続的です。
美容外科医として大切なのはレベルの高い治療技術は当然ですが、女性の美しさ、魅力を引き出す美的センスを有することも同様に極めて重要です。 幸運なことに、私は過去5年間の十仁病院での診療経験から、女性を美しくするための美的センスを習得したと自負しております。
美容外科の治療料金には単に治療技術的と同時に美的センスという無形価値も加味されるべきです。 最後に繰り返しになりますが、一生に一度の大切な目元の治療は、料金のみを基準にクリニックを選択すべきではありません。 上記の如く、さまざまな要素を考慮に入れた上で、治療選択は出来るだけ慎重にすべきです。そして担当医師との確実な信頼関係を構築した上で、その安全性を最優先にして治療に臨むべきです。

(取材者):久保先生、本日は取材協力、ありがとうございました。

22 目の下のたるみの原因となっている脂肪を除去する際に、 脂肪を包む皮膜を縫合しなければ、脂肪が脱出してたるみが再発する と他院で言われたのですが、本当でしょうか?

いいえ、それは誤りです。私はこの治療方法を米国、ニューヨーク州、アルバニー医科大学形成外科、Edwin F.Williams III 教授に指導を受けました。先日、上記の質問に関して、念のために同教授に問い合わせてみました。同教授はこの治療を一万例近く行なっておりますが、彼の方法、つまり皮膜は縫合せずにレーザー凝固を行なうと、脂肪が脱出して再発することはないと明言しておりました。
私の治療経験数も二千例(2006年5月時点)くらいとなりましたが、同教授から学んだ方法で3年前よりこの治療を行なっています。 その中で、明らかに脂肪が脱出し、目の下のたるみが再発した例はこれまでのところ一例もありません。したがって、他院で言われた“皮膜を縫合しなければ目の下のたるみが再発する”というコメントは信憑性に欠けると言えます。さらに、脂肪の皮膜縫合は無駄に治療時間を延長させ、腫れを助長させる可能性があります。美容医療は結果が全てです。 結果が一緒であれば、余計な事をせず出来るだけシンプルで短時間で治療するほうが腫れが少なく、良い結果が出るのです。

23 目の下のクマ(くま)、たるみ治療の症例には比較的若い方が多いのはどうしてでしょうか?それはこの治療が若い方にしか向かないからなのでしょうか?

目の下のクマ(くま)、たるみ治療の症例写真に若い方が多いのは、モデルに応募していただける方が比較的若い方が多いためです。
実際、当クリニックでこの治療を受けにくる女性の中で一番多い年齢は40代女性(全体の50%)です。続いて、30代(20%)、50~60代(20%)、20代(10%)という順です。 しかし、この治療の経済的負担を減らすために若い方が多数、モデルとして応募していただいているのです。
実際にこの治療をお受けになる頻度が最も高い40代以降の女性は、比較的に経済的余裕のある方が多いので、モデル契約をせずに治療に望まれる方がほとんどです。 ですから、実際にはそれほど症例数が多くはない若い方が症例写真に登場し、最も症例数の多い40代以降の方の数が少ないというアンバランスが生じているのです。では、この治療を40代の女性が受けたときの結果はいかなるものなのでしょうか? 当然、皮膚の弾力性などが良い20~30代の若い方がより良好な結果を得ることは事実です。しかし40代以降だからといって、結果が思わしくないということは決してなく、十分良好な結果が得られますのでご安心下さい。
右記症例写真のようにスキンケアの行き届いた方ですと、その結果は20代の方とほとんど見劣りがしません。

24 目の裏から行なう目の下のクマ(くま)、たるみ治療に年齢制限はありますか?

特にありません。
もちろん、20代のように肌に弾力性があると、治療後の回復は早く、結果が優れていることは間違いありません。 しかし、40代以降の女性でも十分に満足の行く結果が得られます。従って、当クリニックでは本人の強い希望がない限り、原則的にすべての症例において、皮膚切開を行なわない、目の裏からの目の下のクマ(くま)、たるみ治療を行なっております。
当クリニックでは年間1000例ほどの目の下のクマ(くま)、たるみ治療を行なっております(2006年時点)が、その中で皮膚切開法を用いるのは年間数例、つまり0.1%の症例に過ぎません。
40代以降のお客様の中にはこの治療を受けた後に目の下にしわが生じる事を心配される方もいらっしゃいます。 しかし、実際にはこの治療を行なったことにより、しわが増える事はほとんどございません。もちろん、この治療は目の下のクマ(くま)、たるみを改善する治療であって、しわを除去する治療ではありません。もししわが気になる場合は、この治療の後にスキンケアを行なっていただくと、40代以降の方でもさらに良い結果が得られます。
では、高齢の方でもこの治療が十分に効果的である事を示す以下の症例をご覧ください。この方は71歳の女性です。
他院では「あなたの場合、高齢なので目の下の皮膚切開を行なわなければたるみは取れません。」と言われたそうです。しかし、本人はどうしても皮膚にメスを入れることに抵抗があり、皮膚切開法を用いた目の下のクマ(くま)、たるみ治療はあきらめていました。最近、知人の紹介で、この女性は当クリニックで行なわれている、皮膚にメスを入れることなしに、目の裏からレーザーを用いて行なう目の下のクマ(くま)、たるみ治療を知りました。この方法であれば、人に気づかれず、しかも皮膚に傷を残すこともなく安全に治療が行なえると判断し、この治療を受ける決意に至りました。
結果は右の写真の如くです。治療前に比べると、治療1ヶ月後には大方のたるみが改善し、本人も満足の行く結果が得られました。
久保医師はこの女性に、「目の下のクマ(くま)、たるみは取れましたが、目元のしわは、引き続きスキンケア治療をしましよう。」 と勧めました。しかし、ご本人は「顔の他の部分にもたくさんのしわがありますから、目の下だけしわが全く無くなるのも逆に不自然です。わたしは今のところ現在の結果で十分満足しております。」との返答がありました。

25 どうして目の下のクマ(くま)、たるみが改善されると、顔全体の若返りの効果があるのですか?

その答えを知るには老化に伴う顔の変化を良く観察すべきです。ある程度の年齢になった方々の顔をよく観察しますと、もししわが目立つ場合、それがまず最初に年齢を感じさせる要因となります。目の周りのたるみも年齢を感じさせる大きな要因でしょう。老化を目立たせる要因が他にあるかさらに観察を続けてみると、意外にも顔全体のたるみは気にならないことが一般的です。
ではお顔の若返りを効率よく図るにはどのような治療方針を立てるべきなのでしょうか? 右の写真をご覧ください。30代半ばの女性ですが、目の下のクマ(くま)、たるみが存在すると、この部分が顔の中で際立って老化を感じさせます。ですから顔の若返りを図りたいのであれば、目の下のクマ(くま)、たるみ治療を優先的に行なうべきなのです。
治療後の写真を見てお分かりのように、目の下のクマ(くま)、たるみを治療しただけで画期的に顔全体の若返りがなされるのです。 先に申しましたように、この症例でも顔全体のたるみは目の下のクマ(くま)、たるみに比べるとあまり目立ちません。もし、さらに顔全体の若返りを望むのであれば、サーマクールなどを含むスキンケア治療を行なうと良いでしょう。一般的にお顔の若返りと言えば、フェイスリフト手術などが思い浮かぶかもしれません。しかし、フェイスリフトのような積極的治療が必要なのは、頬のたるみが顕著に目立つ場合のみに限られます。

26 CUVOクリニックで行われている目の下のクマ(くま)、たるみ治療 は他院で行われている、いわゆる“脱脂”と同じでしょうか?

いいえ、違います。当クリニックではいわゆる“脱脂”と呼ばれる治療は行っていません。
“脱脂”とは目の下に存在する過剰脂肪を目の裏の粘膜から除去する操作を一般的に意味します。 “脱脂”は技術的に簡単なので、美容外科医であれば誰でも行えるでしょう。 しかし、この“脱脂”のみの治療はあまりお勧めできません。何故なら、下眼窩脂肪を過剰除去すると、へこみや皮膚不整(でこぼこ)などの好ましくない問題を引き起しかねないからです。 もし“脱脂”のみを行うのであれば、脂肪摘出量は控えめにするべきです。しかし、控えめに“脱脂”を行うと、2~3年以内に“目の下のクマ(くま)、たるみ”は再発する可能性が高くなります。 当クリニックでも“脱脂”を行いますが、この“脱脂”操作は当クリニックの目の下のクマ(くま)、たるみ治療の一過程に過ぎません。
では、目の下のクマ(くま)、たるみ治療において、何が大切なのでしょうか?それは脂肪を含めた目の下に存在する軟部組織の調節です。下眼窩軟部組織は皮膚のたるみを増悪させる要因です。目の下のクマ(くま)、たるみ治療では“脱脂”のみではなく、この軟部組織の解離操作を行うことが肝心です。この操作を行うと、下眼窩皮膚をバランス良く調節できるので、50~60%の脂肪除去を行っても、決して目の下がへこんだり、でこぼこになりません。また、その効果は永久的なものとなります。
当クリニックでは目の下のクマ(くま)、たるみ治療を年間1000例(2007年時点)行っています。当クリニックでこの治療を専門的に行うのは、目の下のクマ(くま)、たるみ治療に伴う軟部組織操作に熟練を要するからです。いくら目の裏の粘膜から進入すると言っても、目の下の粘膜にはやはり瘢痕組織と呼ばれる傷跡が多少発生します。ですから、目の下のクマ(くま)、たるみ治療は原則的に一生に一度のみ行うべきで、そのことを確約できる施設で行うべきです。当クリニックで行う目の下のクマ(くま)、たるみ治療はその症状が再発しないことを約束して治療を行います。正直に申し上げますと、2~3年以内に症状の再発する、いわゆる“脱脂”治療のみを行うのはあまりお勧めできません。

28 他院に“目の下のクマ(くま)、たるみ治療”についてのセカンドオピニオンを聴きに行きました。他院では目の下のクマ(くま)、たるみを完全に治療するには、目の下への脂肪移植の追加治療を同時に行う必要があると言われました。目の下の脂肪移植とはどのようなもので、目の下のクマ(くま)、たるみを治すために本当に必要なのでしょうか?

当クリニックでは、すでに4000名(2008年時点)近くの方々が目の裏から行う目の下のクマ(くま)、たるみ治療を受けています。 その中で脂肪移植が必要と判断されたのは数%に過ぎません。脂肪移植を行っても良い症例は、右症例のような場合でしょう。この症例は目の下の脂肪量が少なく、彫りが深くて皮膚がやや薄いと言えます。このような方は目の内側からハの字に伸びる皮膚線条が、目の下のクマ(くま)として認識されることがあります。この方は目の下のクマ(くま)、たるみ治療を行った後、脂肪注入の代わりに、ハの字に伸びる皮膚線条にヒアルロン酸を注入しました。 治療結果は治療後一年以上経過した現在も良好なので、結局脂肪注入治療は行っていません。この症例の場合、目の下に伸びていた皮膚線条は“皮膚の癖”のような状態だったと考えられます。この癖はヒアルロン酸注入によって解消したのです。
この症例からわかるように、目の下のクマ(くま)、たるみ治療を受ける場合はまず、この治療のみを行うべきでしょう。治療後にまだ改善する点がある場合、その時点で治療方針を決めるべきです。その治療はヒアルロン酸注入のように、安全で、簡単な方法から行うべきです。何故なら、脂肪注入は腹部などから移植脂肪を摘出して移植するため、新たなコストが発生するからです(当クリニックの場合、ヒアルロン酸注入は4万円程度ですが、脂肪移植治療は30万円)。 つまり、目の下のクマ(くま)、たるみ治療に望むに当たって、この治療を受けた後、どうしても脂肪移植が必要な場合のみに脂肪移植を行えばよいのです。
脂肪移植治療は目の下のクマ(くま)、たるみ治療を行った後であれば、いつでも行えますから、必ずしも目の下のクマ(くま)、たるみ治療と同時に行う必要はありません。さらに、目の下の脂肪移植には“ハムラ法”と呼ばれる目の下の脂肪組織自体を、目の下の皮膚線条部位に移動させる方法もあります。しかし、この方法は目の下の皮膚を切開して行い、治療費用が高額(当クリニックの場合、50万円)となります。私が経験した4000名近くの目の下のクマ(くま)、たるみ症例の中に、“ハムラ法”が必要な症例はほとんどおりませんでした。西欧で開発されたこの手法は、彫りの深い西欧人の特殊な場合目の下のクマ(くま)、たるみにのみ必要と判断しております。
では、皮膚切開を行わない目の裏からの治療の際に、脂肪移植(ハムラ法)を行うことは可能でしょうか?“ハムラ法”は目の下に存在する脂肪組織をこの脂肪を包む被膜ごと目の下の骨膜に縫いつける操作が必要です。しかし、目の裏からの進入法では皮膚の展開が悪く、“ハムラ法”を行うのは不可能です。当クリニックでは、必要に応じて目の下に存在する過剰脂肪を、目の下の皮膚線条部位に移植する処置を行っております。これは“ハムラ法”に準じた方法ですが、治療操作自体は比較的容易であるため、この方法を用いても治療料金を追加することはしておりません。

29 他院にて皮膚切開法を用いた目の下のクマ(くま)、たるみ治療(下眼瞼形成術)を勧められました。 この治療に対するCUVOクリニックのセカンドオピニオンをお聞かせください。

皮膚切開法による目の下のクマ(くま)、たるみ治療(下眼瞼形成術)は、歴史のある確立された手技です。 しかし、目の下のクマ(くま)、たるみ症状は、大半の場合、目の裏から行う目の下のクマ(くま)、たるみ治療(経結膜的下眼瞼形成術)にて十分良好な結果が得られるので、安易に皮膚切開法を行うことは避けるべきです。 皮膚切開法を行うと、皮膚自体の切開のみならず、目の繊細な表情を形作る眼輪筋と呼ばれる筋肉にも何らかの損傷が起こります。もし、皮膚切開法に不慣れな外科医が、こういった眼周囲の繊細な解剖学的構造を配慮せずに、粗雑な治療を行ったとします。 その結果は下眼瞼皮膚に傷跡を残すのみではなく、眼輪筋の働きを損傷し、表情の乏しい目元に陥る危険性をはらんでいます。 また、下眼瞼皮膚を過剰に切除すると、目の下が外反(いわゆる“あかんべー”の状態)する可能性もあります。 ですから、皮膚切除幅を決定する際は、開口しながら上方注視させ、皮膚に最大限緊張を加えた状態で、切除幅を控えめにするといった慎重な配慮のもとに治療を行う必要があります。

これが皮膚切開法を用いた下眼瞼形成術が、美容外科手術の中で最も難しい手術の一つと言われる所以です。 ですから、皮膚の極端な老化等が原因で皮膚自体が明らかにたるんでいるなど、皮膚切開法を用いる以外、改善不可能な場合を除いて、可能な限り皮膚切開は行わないほうが無難です。 過去に私が行った5500症例中、皮膚切開法の適応があったのは、わずか10症例(0.2%)以下でした。したがって、目の下のクマ(くま)、たるみ治療は原則的に皮膚切開を用いないで治療すべきと言えます。

30 目の下のクマ(くま)、たるみ治療に関する痛みについて教えてください。

下眼瞼結膜皮下組織には痛みを知覚する神経が少ないため、局所麻酔への反応が良好で、治療中、治療後に痛みを感じることはほとんどありません。 唯一痛みを感じるとすれば、治療後数日間、目の周囲を押した時の圧迫痛があります。しかし、この圧迫痛も時間とともに次第に解消されます。

31 目の下のたるみ治療の所要時間は約30分程度とのことですが、そのように比較的短時間で治療が終了する理由を教えて下さい。

当初私は両目の目の下のクマ(くま)、たるみ治療の所要時間は2時間程度でした。 次第に症例数が増え、その数が 3000症例を超える頃から治療手技が確立され、治療時間は30分程度に安定しました。 もちろん治療は良好な結果もたらす適切な手技であるべきです。ですから、単に手術を手早く終了させるためだけに、適切な操作を行わずに手短に治療を終了しても何の価値もありません。 しかし、治療時間は確実な結果が得られる手技がなされる限り、出来るだけ短時間で終了するに越したことはありません。 その理由は治療時間が短いほど、腫れが少なく回復期間が早くなるためです。 現在治療手技が確立されたため、これ以上時間を短縮することは不可能ですが、治療時間が両目で30分程度であれば、十分に良好な結果が得られます。

32 治療2~3日後に患者さんからしばしば耳にする質問について (治療2~3日後以降に現れる目の下の変化についての説明)

Q:患者、ハナコさん(仮名)からの質問:
目の下のくま(クマ)、たるみ治療を受けました。現在治療後2週間目です。現状ですが、目の下のくま(クマ)や黒ずみ、目の下のハの字が依然気になります。 貴院の症例写真では治療後1ヶ月程度で、私の状態より、はるかに良い結果のモデルさんがほとんどなので、私の治療に何か不具合でもあったのかと大変心配になったものですから。

A:久保医師からの返答:
上記の如く治療数日後から2週間程度の間は、この治療において急激な変化の起こりやすい経過期間なので、デリケートな方ですと、不安が募ることがしばしばあるようです.
その流れをここで振り返ってみましょう。
当クリニックを訪れる患者さんは、長年目の下のくま(クマ)、たるみに対するコンプレックスを保持し、”これが解消されたらどんなにすっきりするだろう”と日々思いながら暮らしています。

エステに行ったり、マッサージをしたり、高い化粧品を使ってみたものの、まったく改善効果は現れないばかりか、症状は年々悪化してゆきます。美容外科手術は恐いものの、インターネットで検索すると、最新美容外科治療を用いると、レーザーを用いて皮膚を切らずに安全に、そして予想以上に早期に良好な結果が得られることを知り、期待に胸を膨らませるようになります。

その後さまざまな検索を行った結果、信頼のおけるクリニックに行き当たり、このコンプレックスを切に解消したいと思う方は、クリニックに足を運びます。この時点で患者さんが保持している情報は、ホームページから得られた実際の症例情報とネット上を飛び交うクリニックや医師の評判です。

実際にクリニックに足を運び、治療を行う医師と対面した結果、この医師であれば信頼して治療を任せられると確信した患者さんは、実際に治療を受けることになります。そして実際に治療を受け、ほぼすべての患者さんは、治療直後予想していた通りに、腫れや内出血もなく、すでに改善効果が得られたことを実感するので、安心して帰宅されます。

治療翌日は治療直後よりも腫れますが、これもホームページの症例写真から予想していた程度の了解可能範囲の腫れなので、特に心配せずにやり過ごしているようです。

ところが、この治療では次の段階に大きな変化が生じ、そこで動揺する方々がしばしば出現します。それは治療直後の大方の腫れが、治療後2~3日で解消された後の出来事です。治療2~3日後から2~3週間後には下記の出来事により目の下に大きな変化が発生します。しかし、この変化はあくまでも一時的であることを念頭に置いて、不安を増大させないことが非常に肝心です。ではその変化についてご説明いたします。

上記のような訴えをする患者さんには、現状のわかる写真(写メール)を送っていただくようお願いしております。すると、送っていただいた写真には、ほぼすべての症例で下記症状が観察されます。

1)下まつ毛直下にある眼輪筋(いわゆる”涙袋”)の腫れ: 治療直後から2~3日後にすでに目の下の大方の腫れは解消されます。しかし、下まつ毛直下の眼輪筋の腫れは依然として大きな腫れが継続します。この腫れは治療に伴う高周波数レーザーメスの熱性炎症の眼輪筋への波及が原因です。

眼輪筋(いわゆる”涙袋”)は高密度組織なので、この腫れが完全に消退するには少なくとも1ヶ月以上必要となります。それはスポーツ選手が筋肉の断裂”肉離れ”を発症した場合も、少なくとも1ヶ月程度は静養が必要なのと同様で、高密度組織である筋肉の炎症が解消されるには、思いの外、長期経過が必要となります。

この眼輪筋(いわゆる”涙袋”)が腫れている期間、この腫れの影響で目の下のくま(クマ)、たるみが存在した目の下領域がやや凹んだ感じに見えたり、いわゆる”ハの字”が逆に強調されてしまうことがあるのです。

2)目の下の黒ずみ: この現象はやはり治療2~3日後に大方の腫れが解消されると同時に出現することが多いようです。これは皮膚や皮下組織の腫脹が解消されても、レーザー治療による急性炎症に伴う浮腫が完全には解消されないためです。浮腫が存在すると、水分の光の透過性の影響で、その部位が黒っぽい色調となります。これを何かの例で説明するとすれば、嵐が収まって、晴天が現れたとしても、海面は依然大波で揺れているのと同様です。

しかし上記(1)、(2)の状態は治療後1ヶ月程度すると収束し始め、治療3ヶ月以降で完全に解消され、この頃から本当に良好な結果が得られるのです。ホームページを作成した私にも責任があるのですが、実はホームページに掲載されているモデルさんたちは、大変良好な経過をたどった、いわゆる”優等生組の患者さんたち”です。

しかし、患者さんの中には上記の如く、 自分がこの”優等生組の患者さんたち”の治療2~3日後から1ヶ月後の状態に比較して、その経過が劣る場合、不安を募らせることがあるようです。これをわかりやすく説明すると、徒競走すると、すばやくゴールにたどり着く足の速い人もいれば、そこにたどり着くまでゆっくりと時間のかかる足の遅い人もいるのと同様です。しかし、最終的にはどんなに足が遅くても必ずゴールにたどりつけるのと同様、この治療結果もその回復過程には遅い早いの差はありますが、必ず最終的には良好な結果にたどり着けることを信じていただけたらと思います。

また中高年層以降の方でまれに遭遇するケースですが、治療後3ヶ月以上経過した時点で、依然治療結果が劣る場合は、躊躇無くクリニックにお越しいただけたらと思います。

長年保持した目の下のくま(クマ)、たるみが原因で、治療を行っても皮膚の癖が3ヶ月経っても解消しきれない場合があるのです。

この場合、皮膚の弾力性を取り戻す強力な助っ人であるヒアルロン酸を少量皮下に注入することで、まるでアイロンでワイシャツのしわを伸ばすかの如く、皮膚についた過去の癖を解消することが可能です。

この治療をされる方の中には、ヒアルロン酸注入を今後も繰り返さなければいけないのかと不安を感じる方もいらっしゃいますが、心配ご無用です。皮膚の癖をとるだけなので、一度皮膚の癖がとれたら再び戻ることはないので、一度の注入のみで終了することがほとんどです。

美容外科ブログ 美容外科ブログ一覧へ
技術者ブログ 技術者ブログ一覧へ

Follow us      •••••