CUVO

オリジナルEYEデザイン

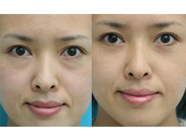
目の下のクマ(くま)

概要 特徴 症例写真 施術の流れ アフターケア Q&A

概要

クマ(くま)は、下眼瞼にいわゆる”ハの字”の影が出来ていたり、下眼瞼の皮膚色素が黒く目立つ状態を表します。クマ(くま)は、目の下のたるみと異なり、必ずしも加齢に伴う眼窩脂肪の前方突出が原因ではなく、生まれ持った下眼瞼構造の不具合がその主な原因です。したがって、 クマ(くま)は、比較的若年層から発生することが多く、若くて元気であるにも関わらず、疲れていたり不健康に見られるので、本人にとっては著しいコンプレックスとなります。
これまでクマ(くま)は、手術治療では改善しないとされており、その治療はスキンケア(漂白剤塗布やレーザー照射)、血行改善のためのマッサージ、サプリメント服用等が主なものでした。しかし、こういった治療では画期的な効果が得られることが少なく、クマ(くま)は解決出来ない症状として多くの人たちを悩ましておりました。
久保院長は米国で習得した最先端技術を応用し、下眼瞼構造の不具合を解消するための新たな治療法を開発しました。この治療は目の下のたるみ治療と同様、皮膚切開をせずに目の裏(結膜)側から進入し、傷跡などの後遺症(リスク)を確実に回避するので、こういったリスクを心配する若年層でも安心して治療に望めます。また、回復までの時間(ダウンタイム)も早く、2~3日程度で大方の腫れはおさまり、治療前に存在したクマ(くま)は、治療後1ヶ月程度でほぼ解消されるでしょう。

料金

目の周りのたるみ施術(上) 385,000円

目の周りのたるみ施術(下) 385,000円(基本料金)

施術時間の目安

施術30分

(ノーダウンタイムの施術です)

組み合わせることで効果が期待できる施術

ヒアルロン酸注入 ボトックス注入
もっと見る

概要

眼瞼周囲は目の繊細な動きに対応出来るよう、大変繊細な構造を有しています。したがって、眼球支持組織も同様に繊細で、加齢に伴う支持組織の弛緩により下眼瞼脂肪組織が前方突出します。我々東洋人には下眼瞼脂肪組織が多く、そういった方々は、加齢とともに目の下のたるみを顕著に認めるようになります。


上記の如く、非常に繊細な下眼瞼構造を治療するには、多くの経験に基づいた専門的な技術が必要となります。開業以来、現在(2011年10月)まで6000例以上の症例数を、久保院長一人でカウンセリング、施術、フォローアップの全てを行なってまいりました。この豊富な治療経験の結果、久保院長は美容外科領域で最も困難な治療の一つと言われる下眼瞼手術を、安全で確実に行えることがこのクリニックの最大の特徴と言えます。


開業当初(2005年頃)、当クリニックで治療を受けた典型的な目の下のたるみケースをここで述べましょう。 ある患者さんが目の下のたるみ治療について他院のカウンセリングを受けました。

ケーススタディ

渋谷区在住 Y.Kさん

長年、目の下のくま(クマ)に悩まされ、鏡を見るたびに自身喪失する私がいました。数年前皮膚科に行くと、アトピー性皮膚炎があるので体質改善をしなければこの症状は治らないと言われました。エステでは血行が悪いと言われマッサージを受けましたが、何も変わりませんでした。この症状は目の下の色素沈着だと思い、漂白剤を塗ったり、美容皮膚科で色素レーザー治療を受けましたがやはり何も変わりませんでした。
もう、どうしようもないのかとあきらめかけていましたが、インターネット検索でCUVOさんを知り、カウンセリングを受けました。先生と話すと、目の下のくま(クマ)改善のための手術治療で、現状の7,8割は改善すると言われ、治療に踏み切ることにしました。お陰様でくま(クマ)はすっかりよくなり、治療を受けて本当に良かったと思いました。

江東区在住 Y. Mさん

7年程前から目の下にたるみ、もしくはくま(クマ)に悩まされていたような気がしますが、それが何であるかはわかりませんでした。ある時たまらなくなって、某美容外科を訪れました。するとそこでは目の下の皮膚切開をしてたるみを取れば良くなると言われ、そのまま手術を受けました。腫れが引くと治療前と同じ症状が残っていて、愕然としました。結局目の下に傷跡が残った以外、症状は改善しなかったので治療を受けたことを後悔しました。この症状はもう治らないのものと思っていましたが、やはり気になってしょうがありませんでした。
友人の紹介で銀座CUVOクリニックに相談に行ったところ、この症状は目の下のたるみではなく、くま(クマ)であることを伝えられました。原因は目の下の形の問題で、それを改善すると治ると言われました。先生を信じてみようと思いました。
本当に良くなるのだろうかと、正直不安に思いましたが、思い切って治療を受けることにしました。2回目の治療のせいか、治療後1週間は腫れが強かったです。でも腫れが引くと本当にくま(クマ)はなくなっていまいした。先生ありがとうと言いたいです!

世田谷区在住 U. Sさん

私はシステムエンジニアリングなので、毎日コンピュータ画面を長時間見ながらし仕事をしています。最近同僚から”「目の下」のくま(クマ)がひどいけど大丈夫?寝れてないんじゃない?”とか、”体調悪いの?”と言われことが多いので、”何故?”って聞き返すと”「目の下」のくま(クマ)が出てるから”と返答されました。
以前から電車の窓に写る自分の顔を見るたびに、顔のたるみが気になり始めていましたが、鏡でよく目の下をのぞき込むと、確かに黒い影クマがあり落ち込みました。。ネット検索でこのクリニックを知り、目の下にある脂肪が「目の下」のくま(クマ)を強調していると言われました。治療は目の下のたるみとくま(クマ)両方を治す治療がよいので、両方とも治したかったので治療を受けました。治療から1ヶ月が経ちましたが今はすっかりよくなり治療結果にとても満足しています。

特徴

クマ(くま)は、下眼瞼に暗い影を形成したり、その部位の皮膚の色素沈着を強調する状態を表します。目の下にクマ(くま)が存在すると、年齢より老けて見られたり、疲れて見られたりするため、外見上損をすることになりかねません。
クマ(くま)に悩む方々のコメントでしばしば耳にするのが、よく寝たにもかかわらず、他人から「どうしたの?目の下のクマがひどいけれど、最近寝れないの?疲れているようだけれど大丈夫?」と毎回言われ、大変気が滅入ると言った内容です。
これまでクマ(くま)の治療は、目の下の色素沈着を解消のためのスキンケアが一般的でした。さらに、クマ(くま)の原因は目の下の血行不良であるとし、目の下のマッサージや、サプリメント服用により血行改善を図りましたが、どれも明らかな効果が得られず、この悩みを解決することは不可能とされていました。
銀座CUVOでは長年の治療経験から、クマ(くま)は下眼瞼構造の不具合による下眼瞼皮膚の下垂と、その影響による影形成がその主な原因であることをつきとめました。そこで久保院長はクマ(くま)改善を図るべく、下眼瞼構造の不具合を解消するための外科治療を開発しました。その結果、これまで不可能とされていたクマ(くま)症状を画期的に改善することに成功しました。

クマ(くま)、その原因と問題点

これまで述べてきたように、クマ(くま)は、下眼瞼皮膚色素が強調されていることがその主たる原因です。クマ(くま)はいくつかの要因が重複して、その程度が変化するため、目の下のたるみより、その診断が困難であり、その治療法も、その要因の重複状況により異なります。クマ(くま)を発症させる要因は下記の如く4つあります。

1.下眼瞼構造の不具合:皮膚が下垂しているほどクマ(くま)が目立つ。
2.下眼瞼脂肪の存在:下眼瞼脂肪が多いほどクマ(くま)が目立つ。
3.皮膚の厚さ:皮膚が薄いほどクマ(くま)が目立つ。
4.皮膚自体の色素の有無:色素が濃いほどクマ(くま)が目立つ。

上記1の要因を分析すると、東洋人の特徴として下眼瞼皮下組織にはいくつかの支持(靱帯)組織があり、下眼瞼脂肪を適切な位置に安定保持しています。しかし、これらの支持組織は皮膚と皮下組織を固着するため、生まれつき皮膚が下垂した位置に固定していると、下眼瞼に影を作りやすくなります。この状態がクマ(くま)の最大原因と考えられます。

上記2の要因を分析すると、下眼瞼脂肪の量が多く、その色が濃いとクマ(くま)は目立ちやすくなります。下眼瞼脂肪の量が多いと、目の下のたるみと認識されやすくなります。目の下のたるみが存在すると下眼瞼に影ができやすく、その影がクマ(くま)を強調します。したがって目の下のたるみの存在は、クマ(くま)の悪化要因となります。

上記3の要因を分析すると、眼周囲皮膚は元来薄く透過性があるため、皮下部に眼窩脂肪など色素の濃い組織が存在すると、その色素が皮膚の上からは透けて黒っぽく見えます。したがって皮膚の薄い方に下眼瞼脂肪が過剰に存在すると、クマ(くま)が現れやすくなります。逆に皮膚の厚い方ですと、皮下組織の色が透けづらく、クマ(くま)は目立ちにくくなります。

上記4の要因を分析すると、下眼瞼皮膚に色素沈着が存在すると、それ自体がクマ(くま)として認識されやすくなります。 皮膚自体の色素沈着が目の下に存在する場合、その色素沈着は下眼瞼のみならず、上眼瞼にも存在するはずです。したがって、上眼瞼皮膚に色素沈着が存在する場合、クマ(くま)は、皮膚自体の色素沈着がその原因である可能性が高くなります。また眼周囲の色素沈着は喫煙や慢性アレルギー皮膚炎、内科的疾患により発症することがあるので、あらかじめそういった既往歴がないか調べることが重要です。

以上のようにクマ(くま)の問題点は、いくつかの要因が組み合わさってこの症状が発症しているため、その治療に当たっては、その要因を細かく分析した上で適切な治療を行う必要があることです。したがってクマ(くま)治療は、目の下のたるみ治療よりも困難であり、より多くの症例に基づいた専門的な知識と、適切な技術を取得した経験豊富な外科医が行うべきです。

銀座CUVOクリニックの治療の特徴

上記の如く、クマ(くま)の要因は下記の如く4つに分類され、その要因別に治療法が異なります。

1.下眼瞼構造の不具合:当クリニックで独自に開発した経結膜的下眼瞼形成術を行います。この方法は皮膚切開を用いずに目の裏側の結膜面から進入し、下眼瞼皮膚を下垂させている支持組織の解離し、挙上させることで、この部位に出来やすい影を解消します。この操作によりクマ(くま)を大幅に改善させます。

2.下眼瞼脂肪の存在:下眼瞼脂肪の前方突出はクマ(くま)を誇張させます。下眼瞼余剰脂肪の摘出を中心とした目の下のたるみ治療を行うことで、くま症状を解消します。

3.皮膚の厚さ:皮膚の厚さを外科的に改変することは不可能ですから、この要因に関して対応すべき方法はありません。

4.皮膚自体の色素の有無:皮膚色素沈着を解消するには、もしその原因となる喫煙やアレルギー皮膚炎などの要因がある場合、禁煙やその基礎疾患の改善を最初に図るべきです。その後、皮膚に残存した色素沈着はレーザー療法、ケミカルピーリングや漂白剤塗布などのスキンケア治療、さらに漂白作用のあるサプリメント服用等による治療を行うべきです。

このように当クリニックではクマ(くま)の原因別に治療法を選択します。クマ(くま)は、上記の個別要素が単独でその原因となるよりも、いくつかの要因が重複してこの症状を形成しています。したがってその解決策は、その要因の比重において治療法を選択、配合する必要があります。この作業は多くの症例経験を通してこそ得られる能力ですが、当クリニックではこの治療を専門に行う久保院長がこの能力を獲得ました。その結果、これまで改善困難と言われていたクマ(くま)症状に対しても、良好な結果が得られるようになりました。

症例写真

36歳 男性
25歳 女性
32歳 女性
47歳 男性
40歳 女性
25歳 女性
34歳 女性
30歳 女性
31歳 女性
もっと見る
35歳 男性
34歳 女性
26歳 女性
42歳 男性
33歳 女性
28歳 男性
41歳 女性
23歳 女性
42歳 女性
32歳 女性
40歳 女性
22歳 女性
29歳 女性
28歳 女性
32歳 男性
40歳 女性
24歳 男性
43歳 女性
51歳 女性
30歳 女性
18歳 女性
42歳 女性
49歳 女性
34歳 男性
26歳 女性
46歳 女性
40歳 女性
39歳 女性
48歳 女性
46歳 女性
26歳 女性
26歳 女性
33歳 女性
24歳 女性
24歳 女性
42歳 女性
36歳 女性
34歳 女性
31歳 女性
20歳 女性
24歳 女性
22歳 女性
24歳 女性
30歳 女性
25歳 女性
53歳 女性
50歳 女性
26歳 女性
21歳 女性
23歳 女性
27歳 女性

施術の流れ

図-1は施術前の目のしたのくま・たるみのイラストです

目の筋肉(いわゆる目袋)ありますが、その下に過剰脂肪が原因と問題点となったくま・たるみがあり、目の下に2本の線が見えます。この状態を放置すると、皮膚が余り、老化を感じさせるたるんだ目の下の状態となってしまいます。しかし、クマ(くま)は下眼瞼過剰脂肪が原因というより、下眼瞼の解剖学的構造の不具合により、下眼瞼に影が出来、皮膚色素が濃く見える状態を表します。

図-2は施術中の模式図です

高周波レーザーを使って、目の下の裏の粘膜から小さな穴を開けて行きます。レーザー進入は下眼瞼内側から外側まで10ミリ程度となります。眼球の位置が穴を開けて行く位置とは随分距離があるので、目に傷つけるといった危険性は全くありません。

図-3は目の下の粘膜から過剰脂肪が出てきた所です

この余剰脂肪は適度に除去します。全体量の5~6割程度の除去が一般的です。その後皮膚と脂肪組織を含めた結合組織の間を剥離します。さらに眼窩骨と結合組織の間も剥離することで、皮膚をこれらの組織から完全に挙上させます。この操作により、クマ(くま)の主な原因である皮膚下垂を修正し挙上させることで、クマ(くま)は大幅に解消されます。粘膜の傷に対する回復力は大変早いので、糸で縫ったりすることもなくそのまま自然に治癒します。

図-4は下まぶたを反転させて施術してゆく時のレーザーの進入路です

このように下まぶたの裏の粘膜から侵入するので、目の下に人目につくような傷を残す心配が全くありません。この縦断面像のレーザー進入経路で非常に重要なのは、前隔壁アプローチと呼ばれる下眼瞼脂肪前方から進入することです。この進入経路を用いると、余剰脂肪は正確に除去することが可能です。また、皮膚と皮下組織を完全に剥離するにはこのアプローチを用いなければ不可能なので、クマ(くま)治療には必要不可欠な進入経路となります。

下眼瞼余剰脂肪や下眼瞼構造に不具合があると、眼球は上向き加減となります

それはロックウッド靱帯、およびワン・ウェイ靱帯と呼ばれる支持組織に、眼球下部で一体となった下眼瞼脂肪が陥入し、下向きに牽引されるため、眼球が上転傾向になるのです。このような眼球位置にあると、上眼瞼の窪みが発生し、加齢とともに眼瞼下垂症上が出現します。しかし、クマ(くま)やたるみ治療に対して行う下眼瞼形成術を行うと、眼球の位置が良い場所にリセットされるので、図-5 のごとく、眼球の上転傾向は解消し、目の開きが良くなります。

アフターケア

目の下のクマ(くま)治療を受けられた方へ

お薬について

・抗生物質と抗炎症剤が含有された目薬を処方致します。治療後3~4日程度、必ず朝晩片眼に2~3滴ずつ差してください。
・併用薬として抗生物質内服薬を2日分処方致します。内服薬にアレルギー等がある場合、必ずしも内服する必要はございません。その場合、目薬を一日3回程度確実に差すようにされてください。

治療後の注意点

・アフターケアは目の下のたるみと全く同様ですから、詳細は目の下のたるみアフターケア欄をご参照下さい。
・コンタクトは、治療3日後から使用出来ます。
・施術当日の入浴は控え、シャワー程度にされてください。

治療後の診察

必ずしも再診の義務はございませんが、経過観察のため治療後1ヶ月程度経過した時点でお越し頂くことをお勧め致します。

目の下のたるみ Q&A

1 目の下のクマ、特に色素沈着が気になりますが、目の下の脂肪をとると色素沈着は良くなるのでしょうか?

はい、目の下の黒っぽい色は目の下の脂肪を除去するとかなり改善されます。
この治療前後の写真を比べてください。
治療後の写真は治療直後のものですが、目の下の脂肪を取り除いたことによって目立たなくなっています。黒っぽく見える目の下のクマは皮膚の色素沈着と目の下の過剰脂肪の場合があります。 両方が原因となっている場合がありますが、いずれにせよ脂肪の光の透過性の関係から目の下に脂肪があると黒っぽくなってしまうのです。
目の下に色素沈着があるかどうかは、目の上の皮膚の色も参考になります。目の下に色素沈着がある場合、目の上にもあることが多いので両方とも黒っぽい場合は色素沈着が原因と見てよいでしょう。
目の上に色素沈着がないのに目の下のみ黒っぽく見えるのは目の下の脂肪が原因である場合がほとんどです。この写真の症例もまさに脂肪が原因による黒っぽく見える目の下のクマ(くま)です。 原因が皮膚の色素沈着の場合でも、目の下に脂肪が存在するとその色が強調されてしまいますので、その場合は脂肪を除去することを御勧め致します。何故ならいくら漂白剤などで、色素改善に対するスキンケアを行っても、この脂肪が存在する限り目の下のクマは消えません。逆に目の下の脂肪を除去してから、スキンケアをすると黒っぽく見える目の下のクマはほとんど目立たなくなるのです。

2 目の下のクマの原因となっている脂肪を除去すると目が大きくなるというのは本当でしょうか?

はい、本当です。症例写真をご覧ください。
これらの方々の場合、さほど目の下のクマ(くま)や目の下のたるみは目立っていません。しかし、彼女たちの悩みは脂肪の中に目が埋まっており、顔の中で目が相対的に小さく見えることです。しかし、彼女たちの目自体はそれほど小さくありません。脂肪がやや多いために目を圧迫しているため小さく見えるのです。ですからこの場合、目の下の脂肪を除去するだけで、目が大きく見えるようになるのです。
その詳細については目の下のクマに関するQ&Aの7番で説明してありますので、ご参照ください。興味深いことに一例目の彼女は奥二重だった上まぶたが、下の脂肪を除去しただけで可愛らしい二重となりました。

3 目の下のクマ(くま)を治療する際、目は開けたままなのでしょうか?もし、そうだとすれば怖いのですが。

いいえ、治療中は目を閉じたまま行います。目を閉じていた方が目の下まぶたの開きが良くなり、目は上まぶたによって保護 されるので安全に治療が行えます。とかく目の下のクマ(くま)治療を、目の近くで行うと聞くと恐ろしい感じがあるかもしれません。しかし、実際の治療は 目を閉じたまま目から1cm以上離れた場所で行うため、患者さんは治療を終えると怖くも痛くもなかったという方がほとんどです。

4 下眼窩脂肪量を調節することによる健康上のリスクはありませんか?

これまで目の下のクマ(くま)の治療は、皮膚切開法を含めると約50年以上の長い歴史があります。この治療では下眼窩脂肪を調節除去しますが、それを適切に行う限り、この治療の歴史の中で明らかなリスクは報告されていません。目の下のクマ(くま)の原因となるこの脂肪は、眼球を寒さや衝撃から守る役割を有していたとされますが、進化と共にその役割を失い、退化しつつあると言われています。そして、視力や眼球の動きに影響はなく、この脂肪を必要最小限に除去しても支障はありません。西洋人には下眼窩脂肪を有しない人も多いのですが、その方々も眼機能は正常であることから、下眼窩脂肪の役割はほとんどないことがうかがえます。

5 目の下のクマ(くま)に対する脂肪除去治療によって、目の下しわが増えるのがどうしても不安なのですが、皮膚切開方の治療を選んだ方がよろしいのでしょうか?

いいえ、目の下の脂肪を除去するのみで大半の場合は解決する場合が多いと言えます。過去に皮膚切開法と目の下の脂肪除去 のみの治療成績を比べたことがありますが、どちらも結果は変わりませんでした。さらに、皮膚切開法を用いたとしても目がいわゆる‘あかんべー’ のようにならないように最大の注意を払うと、実際に切り取る皮膚の量はごくわずかとなります。ということは、このような取り返しのつかないリス クが全くない、目の裏からの治療を選ばれる方が賢明なのです。
もし、どうしても脂肪除去後の脂肪が気になる方は、ケミカルピーリングやヒアルロン酸等のフィラーを用いたスキンケアを 行うと大半の場合、皮膚切開法に変わらないほど効果があります。このように目の下のクマ(くま)とその後のスキンケアを別けて考える方法は米国では一般 的で、より安全な治療と言えるのです。

8 目の下のクマ(くま)、たるみ治療の症例には比較的若い方が多いのはどうしてでしょうか?それはこの治療が若い方にしか向かないからなのでしょうか?

目の下のクマ(くま)、たるみ治療の症例写真に若い方が多いのは、モデルに応募していただける方が比較的若い方が多いためです。

実際、当クリニックでこの治療を受けにくる女性の中で一番多い年齢は40代女性(全体の50%)です。続いて、30代(20%)、50~60代(20%)、20代(10%)という順です。 しかし、この治療の経済的負担を減らすために若い方が多数、モデルとして応募していただいているのです。

実際にこの治療をお受けになる頻度が最も高い40代以降の女性は、比較的に経済的余裕のある方が多いので、モデル契約をせずに治療に望まれる方がほとんどです。 ですから、実際にはそれほど症例数が多くはない若い方が症例写真に登場し、最も症例数の多い40代以降の方の数が少ないというアンバランスが生じているのです。

では、この治療を40代の女性が受けたときの結果はいかなるものなのでしょうか? 当然、皮膚の弾力性などが良い20~30代の若い方が良い結果を得ることは事実です。しかし40代以降だからといって、結果が思わしくないということは決してございません。 40代以降は個人差の現れる年代と言えますから、結果には個人差があります。

右記症例写真のようにスキンケアの行き届いた方ですと、その結果は20代の方とほとんど見劣りがしません。いかにスキンケアが重要であるかがこのような症例を通して良くわかるのです。

10 当クリニックで行う目の下のクマ(くま)・たるみ治療が30分程度で終了するのは何故ですか?

当初私は両目の目の下のクマ(くま)、たるみ治療の所要時間は2時間程度でした。 次第に症例数が増え、その数が 3000症例を超える頃から治療手技が確立され、治療時間は30分程度に安定しました。 もちろん治療は良好な結果もたらす適切な手技であるべきです。ですから、単に手術を手早く終了させるためだけに、適切な操作を行わずに手短に治療を終了しても何の価値もありません。 しかし、治療時間は確実な結果が得られる手技がなされる限り、出来るだけ短時間で終了するに越したことはありません。 その理由は治療時間が短いほど、腫れが少なく回復期間が早くなるためです。 現在治療手技が確立されたため、これ以上時間を短縮することは不可能ですが、治療時間が両目で30分程度であれば、十分に良好な結果が得られます。

11 目の下に明らかな過剰脂肪のない、軽度の目の下のクマ(くま)症例ですが、治療対象となりますか?

はい、治療対象となります。

この症例は24歳女性です。治療前写真-1,2を観察すると目の下に軽度のクマ(くま)症状を認めます。左目内側からハの字に伸びる、いわゆる”蒙古ひだ”が存在します。さらによく観察すると、眼瞼下垂症と診断するには至りませんが、目の開き(眼裂幅)がやや狭いことがわかります。

この症例の場合、下眼窩脂肪はほとんどありませんが、上記の如く本人を悩ます症状を軽度認めます。この症状は下眼瞼構造の不具合から発生しています。下眼瞼構造の不具合とは、眼窩骨外側まで下眼窩脂肪内部を横走し、この脂肪を支持するRockwood靱帯やWong Wei靱帯の過度の発達が原因と思われます。

これらの靱帯が過度に発達していると下眼瞼皮膚が下垂位置に固定され間延びしています。その結果目の下に影が出現しやすくなり、目の下のクマ(くま)が強調されます。またこの靱帯が存在すると、上眼瞼に力学的開眼制限が生じ、本症例のように眼瞼下垂様症状が現れます。

この患者さんの症状は軽度なものの、改善の余地があると判断し、目の裏側から行う目の下のクマ(くま)、たるみ治療(経結膜的下眼瞼形成術)を行いました。摘出された眼窩脂肪は、予想通りごく少量でした。治療2週間後の写真-3,4、及び治療1ヶ月後の写真-5,6を観察すると、目の下のクマ(くま)が軽減しました。また、治療前に認められた眼瞼下垂様症状も改善しました。

このように当クリニックで行う経結膜的下眼瞼形成術は、一見治療対象となりにくいと思われる症例でも、それなりの効果が得られる優れた方法です。またこの治療法の安全性はすでに実証されているので、本症例の如く比較的若年層で軽微な症状であっても、将来発症する目の下のクマ(くま)、たるみ発症の予防効果が得られることを考慮すると、十分治療適応があります。

12 目の下のクマ(くま)の種類には青クマ(くま)、茶クマ(くま)、黒クマ(くま)があるようですが、その分類はどのようにになされているのでしょうか?またその種類によって治療法は異なるのでしょうか?

インターネット等で目の下のクマ(くま)に関して検索してみると、青クマ(くま)=血行不良、茶クマ(くま)=色素沈着、黒クマ(くま)=目の下のたるみ(下眼窩脂肪膨隆)による陰影がそれぞれ原因とされているようです。

しかし、これらはあくまで化粧品・エステなど美容業界で作られた分類で、医学的根拠や信憑性はあまり高くありません。その証拠に青クマ(くま)、茶クマ(くま)、黒クマ(くま)について詳しく調べても、その医学的根拠に関する文献や論文は見つかりません。

勿論、目の下のクマ(くま)の原因が血行不良、下眼瞼皮膚の色素沈着、 下眼窩脂肪膨隆であるとの見解にはある程度の信憑性があります。しかしこういった原因が単一で存在することは希で、それぞれの原因が重複して目の下のクマ(クマ)を形成していることがほとんどです。

私のこれまでの診療経験によると、目の下のクマ(くま)は下眼瞼皮下組織の解剖学的構造上の不具合がその根本的な原因と判断しています。この解剖学的構造上不具合が原因で、下眼瞼皮膚の色素沈着が目立つと茶クマ(くま)、そして下眼窩脂肪が膨隆すると黒クマ(くま)、そして血行不良などにより下眼瞼が青く見えたとすると青クマ(くま)と見なされているのでしょう。

しかし、その根本的原因である下眼瞼皮下組織の解剖学的構造上の不具合が解消されない限り、目の下のクマ(くま)の色(見え方)で分類されたそれぞれの対策を試みても、効果が得られないことがほとんどです。したがってそのような分類をすること自体、あまり意味が無いと言わざるを得ません。

そして目の下のクマ(くま)を解消するための最も効果的方法は、下眼瞼形成術によりこの解剖学的構造上の不具合を解消することです。この根本的要因が解消されると、下眼窩脂肪の膨隆は平坦化し、皮膚色素沈着は目立たなくなります。また下眼瞼組織の血行不良も快方へと向かい、どのような色(見え方)がする目の下のクマ〈くま)も大幅に改善するでしょう。

美容外科ブログ 美容外科ブログ一覧へ
技術者ブログ 技術者ブログ一覧へ

Follow us      •••••