診察
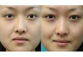
症例写真1~4を見るとわかるように、さほど目立つタイプの目の下のクマ(くま)ではありません。年齢が22歳と若く、たるみの要素は少ないようです。しかし、目の下の色調や斜めからの写真を良く観察すると、少量であるが目の下で前方に膨らむ過剰脂肪の存在を認めます。正面の写真でやや赤黒く見える、目の下のクマ(くま)の原因の一番大きな要因は、やはりこの過剰脂肪であると判断しました。
経過
目の下の軽度の色素沈着(目の下のクマ(くま))の改善を目的に来院されました。ご本人曰く、「目の下のクマ(くま)は、体調や時間によって変化し、疲れてくるとひどくなる。」と訴えられております。当日撮影した治療前の写真をご本人と確認したところ、前日に良く寝たせいか、この写真の目の下くまはあまり目立たない状態であり、普段はもっと目立つとのことでした。
治療方針
この症例は軽症な目の下のクマ(くま)です。治療方針としてはスキンケア(漂白作用のあるビタミンC、ハイドロキノンの塗布やイオン、超音波導入)が先行するべきです。目の裏からの脂肪除去は相対的適応であると判断しました。つまり、患者様からの要望がある場合は行うことにしております。この治療が目の裏からのアプローチであるため傷を残す心配が無く、安全であること。 この症例の場合、目の裏からの過剰脂肪摘出によって、症状の大半が解消すること。一度の治療で再び目の下のクマ(くま)が出てくることはないので、将来、さらに目の下のクマ(くま)が悪化することを予防効果があること。 上記の内容を患者様と相談したところ、この治療を強く希望されたため、目の裏からの脂肪除去治療を行うことにしました。
治療後の評価
治療直後の写真5、6を見ると目の下に軽度にあった過剰脂肪が取り除かれ、眼輪筋(涙袋)が強調されて見えています。摘出された脂肪を見るとそれぞれ直径約3ミリと、通常のケースの約半分程度の大きさであることがわかります。
この患者様の場合、喫煙(10~15本/日)習慣があること、ダイエットをしているせいか、血液検査で貧血があることから、目の下に赤みが出る可能性があることを説明しておりました。
治療1日後の写真7、8を見ると、両目の下に治療直後よりもむくみがあることと、左目の下にやや赤みらしきものが観察されます。
治療2日後の写真9、10を見ると、前日の目の下のむくみや赤みはすでに改善してきています。
その傾向は治療3日後の写真11、12でも認められます。この後、この患者様は二重の幅を広げる治療を行う予定で、最終的に“ぱっちりとした目”の印象を獲得する予定です。
治療後2週間後の写真13、14では腫れはほぼ引き、この患者様の場合、目の下のクマ(くま)、たるみの心配をする必要がまったくなくなりました。最初から明らかなくま、たるみが目立つ症例ではなかったものの、皮膚に傷をつけることなく治療が出来たことと目の印象が良くなったため、ご本人の満足度は大変高い結果となりました。
治療後3ヶ月の症例写真15-18をご覧になるとわかるように、目の下の状況は治療前より改善され、眼輪筋”いわゆる涙袋”がやや目立つようになりました。
この患者様の場合、年齢が若く、今回の治療の目的は将来の目の下のクマ(くま)、たるみの予防の意味が大きいと言えるかもしれません。
